524 Main StActon, MA 01720
Due to the health concerns created by Coronavirus we are offering personal 1-1 online video walkthough tours where possible.



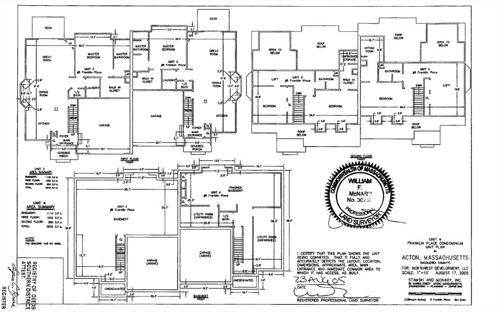
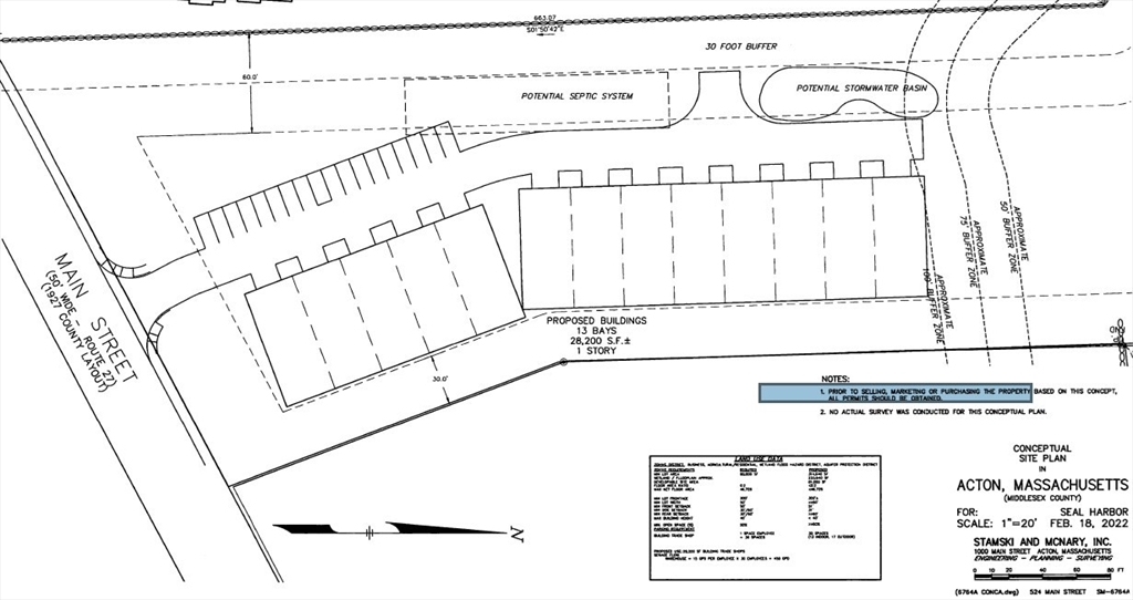
Property is currently zoned Commercial / Light Industrial, offering a straightforward path for buyers seeking commercial or industrial use. The Town has indicated openness to potential residential use; however, any zoning changes, approvals, or permitting are the responsibility of the buyer and subject to municipal review and approval. Seller may consider cooperating with the process with mutually acceptable terms, including deposit structure.Conceptual plans exist for both light-industrial garage bays and residential condominium development. The parcel has been structured as one of two condominium units, which may allow for efficient utilization of allowable Floor Area Ratio (FAR). Buyers are encouraged to perform their own due diligence regarding zoning, permitted uses, development potential, and approvals with the Town of Acton.
| 7 days ago | Listing updated with changes from the MLS® | |
| 2 weeks ago | Listing first seen on site |
The property listing data and information, or the Images, set forth herein were provided to MLS Property Information Network, Inc. from third party sources, including sellers, lessors, landlords, and public records, and were compiled by MLS Property Information Network, Inc. The property listing data and information, and the Images, are for the personal, non-commercial use of consumers having a good faith interest in purchasing, leasing or renting listed properties of the type displayed to them and may not be used for any purpose other than to identify prospective properties which such consumers may have a good faith interest in purchasing, leasing or renting. MLS Property Information Network, Inc. and its subscribers disclaim any and all representations and warranties as to the accuracy of the property listing data and information, or as to the accuracy of any of the Images, set forth herein.
Last checked 2026-02-24 04:51 AM UTC


Did you know? You can invite friends and family to your search. They can join your search, rate and discuss listings with you.