1139 Hyde Park AveBoston, MA 02136
Due to the health concerns created by Coronavirus we are offering personal 1-1 online video walkthough tours where possible.




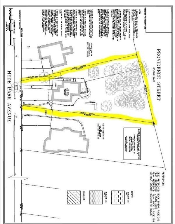
RARE 14,000 SF Hyde Park Development Opportunity! This exceptionally large lot is primed for significant residential redevelopment. Current architectural work suggests potential for 5 to 6 high-end townhouses. For a larger investor, the site's dimensions could accommodate a substantial 20 to 25-unit condo or rental building. Owners have proactively engaged the City of Boston and received supportive feedback on preliminary concepts. No formal plans or permits have currently been submitted. The driveway in one of the pics shows a highlighted area, and that is an easement with 1135-1137 property. That will allow for using it during construction. This is a must-see site for any well-resourced team seeking maximum return in the robust Boston market. Selling lot as is.
| a week ago | Listing updated with changes from the MLS® | |
| a week ago | Status changed to Pending | |
| 3 months ago | Price changed to $600,000 | |
| 3 months ago | Listing first seen on site |
The property listing data and information, or the Images, set forth herein were provided to MLS Property Information Network, Inc. from third party sources, including sellers, lessors, landlords, and public records, and were compiled by MLS Property Information Network, Inc. The property listing data and information, and the Images, are for the personal, non-commercial use of consumers having a good faith interest in purchasing, leasing or renting listed properties of the type displayed to them and may not be used for any purpose other than to identify prospective properties which such consumers may have a good faith interest in purchasing, leasing or renting. MLS Property Information Network, Inc. and its subscribers disclaim any and all representations and warranties as to the accuracy of the property listing data and information, or as to the accuracy of any of the Images, set forth herein.
Last checked 2026-02-04 04:11 PM UTC


Did you know? You can invite friends and family to your search. They can join your search, rate and discuss listings with you.