Save
Ask
Tour
Hide
$1,150,000
24 Days On Site
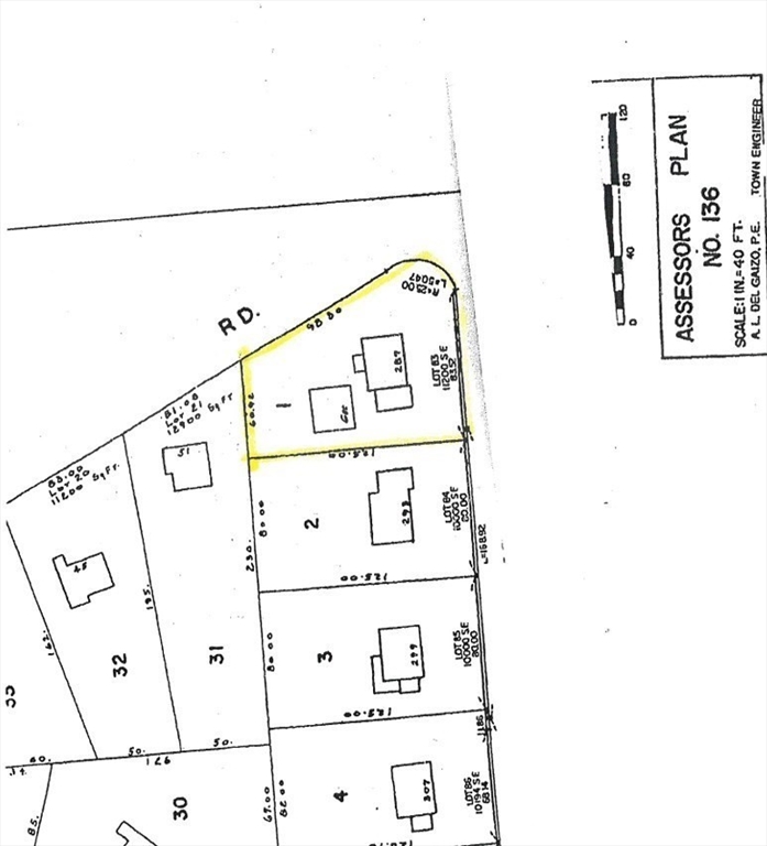
287 High Rock StNeedham, MA 02492
For Sale|Land|Active
County:
Norfolk
Due to the health concerns created by Coronavirus we are offering personal 1-1 online video walkthough tours where possible.




Save
Ask
Tour
Hide
Lot for sale. Opportunity to build new on an 11,200 sq ft corner lot across from town forest with miles of walking trails. Short distance to bike path,High Rock School, and Needham Junction Train Station.
Save
Ask
Tour
Hide
Listing Snapshot
Price
$1,150,000
Days On Site
24 Days
Bedrooms
N/A
Inside Area (SqFt)
N/A
Total Baths
N/A
Full Baths
N/A
Partial Baths
N/A
Lot Size
0.26 Acres
Year Built
N/A
MLS® Number
73443775
Status
Active
Property Tax
$10,259
HOA/Condo/Coop Fees
N/A
Sq Ft Source
N/A
Friends & Family
Recent Activity
| 2 weeks ago | Listing updated with changes from the MLS® | |
| 3 weeks ago | Listing first seen on site |
General Features
Acres
0.26
Sewer
Public Sewer
Utilities
Natural Gas Available
Water Source
Public
Zoning
SRB
Save
Ask
Tour
Hide
Exterior Features
Lot Features
Level
Community Features
Community Features
PoolParkGolf
Schools
School District
Unknown
Elementary School
Newman
Middle School
Pollard
High School
Needham
Listing courtesy of Pamela Condon of Louise Condon Realty
The property listing data and information, or the Images, set forth herein were provided to MLS Property Information Network, Inc. from third party sources, including sellers, lessors, landlords, and public records, and were compiled by MLS Property Information Network, Inc. The property listing data and information, and the Images, are for the personal, non-commercial use of consumers having a good faith interest in purchasing, leasing or renting listed properties of the type displayed to them and may not be used for any purpose other than to identify prospective properties which such consumers may have a good faith interest in purchasing, leasing or renting. MLS Property Information Network, Inc. and its subscribers disclaim any and all representations and warranties as to the accuracy of the property listing data and information, or as to the accuracy of any of the Images, set forth herein.
Last checked 2025-11-09 03:11 AM UTC
The property listing data and information, or the Images, set forth herein were provided to MLS Property Information Network, Inc. from third party sources, including sellers, lessors, landlords, and public records, and were compiled by MLS Property Information Network, Inc. The property listing data and information, and the Images, are for the personal, non-commercial use of consumers having a good faith interest in purchasing, leasing or renting listed properties of the type displayed to them and may not be used for any purpose other than to identify prospective properties which such consumers may have a good faith interest in purchasing, leasing or renting. MLS Property Information Network, Inc. and its subscribers disclaim any and all representations and warranties as to the accuracy of the property listing data and information, or as to the accuracy of any of the Images, set forth herein.
Last checked 2025-11-09 03:11 AM UTC
Neighborhood & Commute
Source: Walkscore
Save
Ask
Tour
Hide


Did you know? You can invite friends and family to your search. They can join your search, rate and discuss listings with you.