Save
Ask
Tour
Hide
$349,999
100 Days On Site
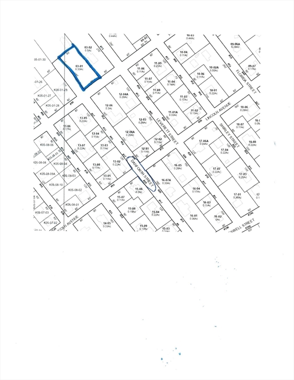
64 Danforth StMarshfield, MA 02050
For Sale|Land|Active
County:
Plymouth
Due to the health concerns created by Coronavirus we are offering personal 1-1 online video walkthough tours where possible.




Save
Ask
Tour
Hide
Last buildable lot on road. Listing for land only. Quiet neighborhood in Marshfield, lot just approved and ready to build. Also available to be built or builders package MLS #73426697.Bring your plans and or design with the builder! New construction, to be built. Please note *1,850 SF max & 3 bedrooms max. Great lot in quiet neighborhood, lot all approved by town, on town water and sewer.
Save
Ask
Tour
Hide
Listing Snapshot
Price
$349,999
Days On Site
100 Days
Bedrooms
N/A
Inside Area (SqFt)
N/A
Total Baths
N/A
Full Baths
N/A
Partial Baths
N/A
Lot Size
0.33 Acres
Year Built
N/A
MLS® Number
73430160
Status
Active
Property Tax
N/A
HOA/Condo/Coop Fees
N/A
Sq Ft Source
N/A
Friends & Family
Recent Activity
| 3 weeks ago | Listing updated with changes from the MLS® | |
| 4 weeks ago | Price changed to $349,999 | |
| 4 weeks ago | Status changed to Active | |
| 3 months ago | Listing first seen on site |
General Features
Acres
0.33
Sewer
Septic TankPublic Sewer
Water Source
Public
Zoning
R-2
Save
Ask
Tour
Hide
Exterior Features
Lot Features
Wooded
Waterfront Features
Ocean FrontRiver Front
Community Features
Roads
Paved
Listing courtesy of Michael Biviano of Conway - Marshfield
The property listing data and information, or the Images, set forth herein were provided to MLS Property Information Network, Inc. from third party sources, including sellers, lessors, landlords, and public records, and were compiled by MLS Property Information Network, Inc. The property listing data and information, and the Images, are for the personal, non-commercial use of consumers having a good faith interest in purchasing, leasing or renting listed properties of the type displayed to them and may not be used for any purpose other than to identify prospective properties which such consumers may have a good faith interest in purchasing, leasing or renting. MLS Property Information Network, Inc. and its subscribers disclaim any and all representations and warranties as to the accuracy of the property listing data and information, or as to the accuracy of any of the Images, set forth herein.
Last checked 2025-12-22 02:08 PM UTC
The property listing data and information, or the Images, set forth herein were provided to MLS Property Information Network, Inc. from third party sources, including sellers, lessors, landlords, and public records, and were compiled by MLS Property Information Network, Inc. The property listing data and information, and the Images, are for the personal, non-commercial use of consumers having a good faith interest in purchasing, leasing or renting listed properties of the type displayed to them and may not be used for any purpose other than to identify prospective properties which such consumers may have a good faith interest in purchasing, leasing or renting. MLS Property Information Network, Inc. and its subscribers disclaim any and all representations and warranties as to the accuracy of the property listing data and information, or as to the accuracy of any of the Images, set forth herein.
Last checked 2025-12-22 02:08 PM UTC
Neighborhood & Commute
Source: Walkscore
Save
Ask
Tour
Hide


Did you know? You can invite friends and family to your search. They can join your search, rate and discuss listings with you.