0 Harbor Acres Ln - Lot BMattapoisett, MA 02739
Due to the health concerns created by Coronavirus we are offering personal 1-1 online video walkthough tours where possible.




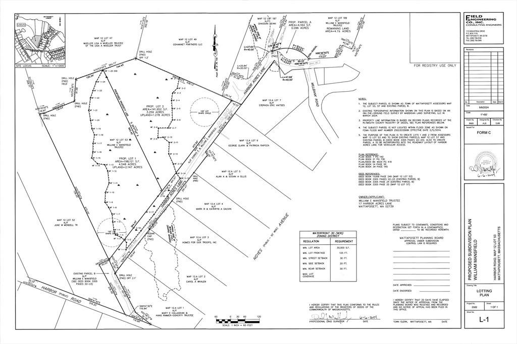
Large 7.8 acres parcel with 2 buildable lots located off of Harbor Acres Ln (Mattapoisett Neck Rd to Harbor Rd to Harbor Acres Ln). List price is for 1 of 2 lots. OWNER HAS COMPLETED SUBSTANTIAL ENGINEERING WORK AND HAS RECORDED FORM-C SUBDIVISION APPROVAL FROM MATTAPOISETT PLANNING BOARD FOR 2 LOTS: LOT A – 4.54 ACRES & LOT B – 3.25 ACRES (form attached to MLS listing). Both lots perked in August 2023 (perk tests attached to MLS listing). Private septic and well water required. Most of land located out of flood zone. Order of Conditions exists for Harbor Acres Ln roadway. Widening and small wetlands removal required which OWNER IS IN PROCESS OF COMPLETING (MAY 2025). Majority of hard work has been completed for this parcel to obtain building permit. Beach rights to private Shell Beach at bottom of road may also be available through additional purchase of share in separate lot owned by same owner…ask listing agent. Note: boundary lines depicted in photos are for illustration only.
| 2 months ago | Listing updated with changes from the MLS® | |
| 12 months ago | Listing first seen on site |
The property listing data and information, or the Images, set forth herein were provided to MLS Property Information Network, Inc. from third party sources, including sellers, lessors, landlords, and public records, and were compiled by MLS Property Information Network, Inc. The property listing data and information, and the Images, are for the personal, non-commercial use of consumers having a good faith interest in purchasing, leasing or renting listed properties of the type displayed to them and may not be used for any purpose other than to identify prospective properties which such consumers may have a good faith interest in purchasing, leasing or renting. MLS Property Information Network, Inc. and its subscribers disclaim any and all representations and warranties as to the accuracy of the property listing data and information, or as to the accuracy of any of the Images, set forth herein.
Last checked 2025-11-17 04:18 AM UTC


Did you know? You can invite friends and family to your search. They can join your search, rate and discuss listings with you.